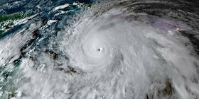
Şiddetli yağış, fırtına ve sel baskınlarına neden olan kasırga nedeniyle Küba Devlet Başkanı Miguel Diaz Canel, ülkede 735 binden fazla kişinin tahliye edildiğini bildirmişti.
Jamaika Meteoroloji Servisi'nin kasırga tahminlerine dair güncel bilgiler bulunamadı. Ancak, 29 Ekim 2025 tarihinde yapılan açıklamada, servisin hava koşullarının "gün boyunca ciddi şekilde kötüleşeceği" uyarısında bulunduğu bildirildi 1.
Kasırganın Jamaika'dan sonra Küba ve Bahamalar'ı etkilemesi bekleniyor 12.
Daha fazla bilgi için aşağıdaki kaynaklar takip edilebilir:
{"4lk50":{"state":{"logoProps":{"url":"https://www.yandex.com.tr"},"formProps":{"action":"https://www.yandex.com.tr/gundem/search","searchLabel":"Bul"},"services":{"activeItemId":"agenda","items":[{"url":"https://yandex.com.tr/gundem/","title":"Gündem","id":"agenda"},{"url":"https://yandex.com.tr/shopping/","title":"Alışveriş","id":"shopping"},{"url":"https://yandex.com.tr/finance/","title":"Finans","id":"finance"},{"url":"https://yandex.com.tr/yacevap/","title":"YaCevap","id":"answers"},{"url":"https://yandex.com.tr/yaozet/","title":"YaÖzet","id":"summary"},{"url":"https://yandex.com.tr/travel/","title":"Seyahat","id":"travel"},{"url":"https://yandex.com.tr/video/search?text=popüler+videolar","title":"Video","id":"video"},{"url":"https://yandex.com.tr/gorsel/","title":"Görsel","id":"images"}]},"userProps":{"loggedIn":false,"ariaLabel":"Menü","plus":false,"birthdayHat":false,"child":false,"dialogProps":{"host":"yandex.com.tr","lang":"tr","project":"news","queryParams":{"exp_flags":"skin","preset":"oceania","utm_source":"portal-news"},"retpath":"https%3A%2F%2Fwww.yandex.com.tr%2Fgundem%2Fincidents%2Fyuzyilin-kasirgasi-yikarak-ilerliyor-5280260%3Flr%3D213%26ncrnd%3D98039","tld":"com.tr","platform":"desktop"},"className":"PortalHeader-User"},"suggestProps":{"selectors":{"form":".HeaderForm","input":".HeaderForm-Input","submit":".HeaderForm-Submit","clear":".HeaderForm-Clear","layout":".HeaderForm-InputWrapper"},"suggestUrl":"https://yandex.com.tr/suggest/suggest-ya.cgi?show_experiment=222&show_experiment=224","deleteUrl":"https://yandex.com.tr/suggest-delete-text?srv=web&text_to_delete=","suggestPlaceholder":"Gündem içinde","platform":"desktop","hideKeyboardOnScroll":false,"additionalFormClasses":["mini-suggest_theme_tile","mini-suggest_overlay_tile","mini-suggest_expanding_yes","mini-suggest_prevent-empty_yes","mini-suggest_type-icon_yes","mini-suggest_personal_yes","mini-suggest_type-icon_yes","mini-suggest_rich_yes","mini-suggest_overlay_dark","mini-suggest_large_yes","mini-suggest_copy-fact_yes","mini-suggest_clipboard_yes","mini-suggest_turboapp_yes","mini-suggest_expanding_yes","mini-suggest_affix_yes","mini-suggest_carousel_yes","mini-suggest_traffic_yes","mini-suggest_re-request_yes","mini-suggest_source_yes","mini-suggest_favicon_yes","mini-suggest_more","mini-suggest_long-fact_yes","mini-suggest_hide-keyboard_yes","mini-suggest_clear-on-submit_yes","mini-suggest_focus-on-change_yes","mini-suggest_short-fact_yes","mini-suggest_app_yes","mini-suggest_grouping_yes","mini-suggest_entity-suggest_yes","mini-suggest_redesigned-navs_yes","mini-suggest_title-multiline_yes","mini-suggest_type-icon-wrapped_yes","mini-suggest_fulltext-highlight_yes","mini-suggest_fulltext-insert_yes","mini-suggest_lines_multi"],"counter":{"service":"news_com_tr_desktop","url":"//yandex.ru/clck/jclck","timeout":300,"params":{"dtype":"stred","pid":"0","cid":"2873"}},"noSubmit":false,"formAction":"https://www.yandex.com.tr/gundem/search","tld":"com.tr","suggestParams":{"srv":"serp_com_tr_desktop","wiz":"TrWth","yu":"4105166821761982753","lr":213,"uil":"tr","fact":1,"v":4,"use_verified":1,"safeclick":1,"skip_clickdaemon_host":1,"rich_nav":1,"verified_nav":1,"rich_phone":1,"use_favicon":1,"nav_favicon":1,"mt_wizard":1,"history":1,"nav_text":1,"maybe_ads":1,"icon":1,"hl":1,"n":10,"portal":1,"platform":"desktop","mob":0,"extend_fw":1,"suggest_entity_desktop":"1","entity_enrichment":"1","entity_max_count":"5"},"disableWebSuggest":false},"context":{"query":"","reqid":"1761982753403605-6184970709610516682-balancer-l7leveler-kubr-yp-sas-142-BAL","lr":"213","aliceDeeplink":"{\"text\":\"\"}"},"baobab":{"parentNode":{"context":{"genInfo":{"prefix":"4lk5w01-0-1"},"ui":"desktop","service":"news","fast":{"name":"portal","subtype":"header"}}}}},"type":"portal","subtype":"header"},"4lk51":{"state":{"links":[{"id":"gundem","title":"Ana Sayfa","url":"https://www.yandex.com.tr/gundem","target":"_self"},{"id":"sports","title":"Spor","url":"https://www.yandex.com.tr/sports/","target":"_self"},{"id":"turkey","title":"Türkiye","url":"https://www.yandex.com.tr/gundem/turkey","target":"_self"},{"id":"world","title":"Dünya","url":"https://www.yandex.com.tr/gundem/world","target":"_self"},{"id":"politics","title":"Siyaset","url":"https://www.yandex.com.tr/gundem/politics","target":"_self"},{"id":"incidents","title":"Günün içinden","url":"https://www.yandex.com.tr/gundem/incidents","target":"_self"},{"id":"business","title":"İş","url":"https://www.yandex.com.tr/gundem/business","target":"_self"},{"id":"science","title":"Bilim","url":"https://www.yandex.com.tr/gundem/science","target":"_self"},{"id":"entertainment","title":"Eğlenceler","url":"https://www.yandex.com.tr/gundem/entertainment","target":"_self"}],"activeLinkId":"incidents","title":"Kategoriler","baobab":{"parentNode":{"context":{"genInfo":{"prefix":"4lk5w02-0-1"},"ui":"desktop","service":"news","fast":{"name":"newstr","subtype":"header-categories"}}}}},"type":"newstr","subtype":"header-categories"},"4lk52":{"state":{"title":"Melissa Kasırgası'nın neden olduğu sel sonucu Haiti'de 25 kişi öldü","breadcrumbs":[{"text":"Gündem","url":"/gundem/"},{"text":"Günün içinden","url":"/gundem/incidents"}],"isLoggedIn":false,"extralinksItems":[{"variant":"reportFeedback","reportFeedback":{"feature":"Gundem вертикаль: Сюжеты","title":"Sonuçlarda yanlış olan nedir?","checkBoxLabels":[{"value":"Faydasız, kalitesiz içerik"},{"value":"Medya içeriği hikaye ile uyuşmuyor"},{"value":"Faydasız medya içeriği"},{"value":"Kalitesiz, bilgilendirici özelliği eksik hikaye başlığı"},{"value":"Şok edici, rahatsız edici içerik"},{"value":"Hikayede birden fazla olay konu ediliyor"},{"value":"Siteye erişilemiyor"},{"value":"Hikayede 18+ içerik konu ediliyor"},{"value":"Diğer"}]}}],"hasExtralinksSettingsItem":true,"useNativeShare":false,"hasShareButton":true,"pageMeta":{"badge":{"textParts":[{"datetime":"2025-10-30T07:20:23+03:00","itemProp":"datePublished","text":"30 Ekim, 07:20"}]},"updatedDateBadge":{"textParts":[{"datetime":"2025-11-01T00:01:17+03:00","itemProp":"dateModified","text":"Son güncelleme: 01 Kasım, 00:01"}]},"videoBadge":{"url":"http://www.youtube.com/watch?v=5pbXaJCj79Q","faviconSources":["https://www.youtube.com"],"textParts":[{"text":"YouTube"}]}},"baobab":{"parentNode":{"context":{"genInfo":{"prefix":"4lk5w03-0-1"},"ui":"desktop","service":"news","fast":{"name":"newstr","subtype":"page_header"}}}}},"type":"newstr","subtype":"page_header"},"4lk53":{"state":{"storyId":"528026_0","isLoggedIn":false,"mainStory":{"id":"528026_0","otherSources":0,"totalSources":4,"header":{"url":"https://www.birgun.net/haber/melissa-kasirgasi-nin-neden-oldugu-sel-sonucu-haiti-de-25-kisi-oldu-664716","text":"Melissa Kasırgası'nın neden olduğu sel sonucu Haiti'de 25 kişi öldü","badge":{"url":"https://www.birgun.net/haber/melissa-kasirgasi-nin-neden-oldugu-sel-sonucu-haiti-de-25-kisi-oldu-664716","faviconSources":["https://www.birgun.net"],"textParts":[{"text":"birgun.net","bold":true},{"text":"30 Ekim"}],"divider":false}},"logAttrs":{"id":"528026_0","hasSummarization":true,"urls":["https://www.birgun.net/haber/melissa-kasirgasi-nin-neden-oldugu-sel-sonucu-haiti-de-25-kisi-oldu-664716","https://www.sabah.com.tr/dunya/yuzyilin-kasirgasi-yikarak-ilerliyor-7453456","https://www.cnnturk.com/video/dunya/karayipleri-melissa-kasirgasi-vurdu-2353742","https://www.haberler.com/dunya/melissa-yuz-yilin-kasirgasi-haiti-de-20-kisinin-19199873-haberi/","https://www.birgun.net/haber/melissa-kasirgasi-nin-neden-oldugu-sel-sonucu-haiti-de-25-kisi-oldu-664716"],"summarizationTexts":["Melissa Kasırgası'nın neden olduğu sel sonucu Haiti'de 25 kişi öldü","Karayipler'de son yılların en şiddetli fırtınalarından biri olan Melissa, Jamaika'da hayatı felç etti.","Jamaika Meteoroloji Servisi, kasırganın ülkeye kategori 5 seviyesinde ulaştığını ve yıkıcı ve ölümcül etkiler bıraktığını açıkladı.","Jamaika'nın 2,8 milyonluk nüfusunun %70'i kıyı şeridine 5 km mesafe içinde yaşıyor.","Şiddetli yağış, fırtına ve sel baskınlarına neden olan kasırga nedeniyle Küba Devlet Başkanı Miguel Diaz Canel, ülkede 735 binden fazla kişinin tahliye edildiğini bildirmişti."],"newsFreshness":[true,true,true,true]},"items":[{"type":"carousel","items":[{"id":"11610584134089649040_2","url":"https://www.milliyet.com.tr/galeri/son-dakika-melissa-kasirgasi-vurdu-karayipler-yikildi-can-kaybi-artiyor-7474539","image":{"url":"//avatars.mds.yandex.net/get-searchnews-images/16069429/2a0000019a395805a9e99d56bea5401f557b//S280x140","size":{"width":280,"height":140},"originalUrl":"https://image.milimaj.com/i/milliyet/75/0x0/69046e07af6c89f5a1fb2efa.jpg"},"badge":{"url":"https://www.milliyet.com.tr/galeri/son-dakika-melissa-kasirgasi-vurdu-karayipler-yikildi-can-kaybi-artiyor-7474539","faviconSources":["https://www.milliyet.com.tr"],"textParts":[],"divider":false}},{"id":"5654114396325528228_2","url":"https://www.sabah.com.tr/dunya/melissa-kasirgasi-nedeniyle-karayiplerde-44-kisi-hayatini-kaybetti-7454373","image":{"url":"//avatars.mds.yandex.net/get-searchnews-images/17968138/2a0000019a3959dddd61df6a17570e90a875//S280x140","size":{"width":280,"height":140},"originalUrl":"https://iasbh.tmgrup.com.tr/bcb623/1200/675/0/56/800/505?u=https://isbh.tmgrup.com.tr/sbh/2025/10/31/melissa-kasirgasi-nedeniyle-karayiplerde-44-kisi-hayatini-kaybetti-1761898647867.jpeg"},"badge":{"url":"https://www.sabah.com.tr/dunya/melissa-kasirgasi-nedeniyle-karayiplerde-44-kisi-hayatini-kaybetti-7454373","faviconSources":["https://www.sabah.com.tr"],"textParts":[],"divider":false}},{"id":"15531709321211900743_2","url":"https://www.takvim.com.tr/yasam/2025/10/31/kategori-5-dehseti-yilin-en-guclu-kasirgasi-jamaikayi-yerle-bir-etti","image":{"url":"//avatars.mds.yandex.net/get-searchnews-images/16403125/2a0000019a386c847b6dde4aeb6eca3cf9e0//S280x140","size":{"width":280,"height":140},"originalUrl":"https://iatkv.tmgrup.com.tr/96750d/1200/675/0/8/1000/570?u=https%3a%2f%2fitkv.tmgrup.com.tr%2f2025%2f10%2f31%2fkategori-5-dehseti-yilin-en-guclu-kasirgasi-jamaikayi-yerle-bir-etti-1761869841012.jpeg"},"badge":{"url":"https://www.takvim.com.tr/yasam/2025/10/31/kategori-5-dehseti-yilin-en-guclu-kasirgasi-jamaikayi-yerle-bir-etti","faviconSources":["https://www.takvim.com.tr"],"textParts":[],"divider":false}},{"id":"12465909464520780911_2","url":"https://www.cnnturk.com/video/dunya/karayipleri-melissa-kasirgasi-vurdu-2353742","image":{"url":"//avatars.mds.yandex.net/get-searchnews-images/18894684/2a0000019a3208c095cdcf6c0ae1fbecd68c//S280x140","size":{"width":280,"height":140},"originalUrl":"https://image.cnnturk.com/i/cnnturk/75/1200x675/69029017af000ea1da48ad90.jpg"},"badge":{"url":"https://www.cnnturk.com/video/dunya/karayipleri-melissa-kasirgasi-vurdu-2353742","faviconSources":["https://www.cnnturk.com"],"textParts":[],"divider":false}},{"id":"2203868277942776238_2","url":"https://www.ntv.com.tr/galeri/dunya/melissa-karayipleri-yikti-gecti-can-kaybi-44e-cikti,nqS4AEaxkEWmBKLRVSZ_sw","image":{"url":"//avatars.mds.yandex.net/get-searchnews-images/16403125/2a0000019a38553a2a5af68ce33380aea894//S280x140","size":{"width":280,"height":140},"originalUrl":"https://cdn1.ntv.com.tr/gorsel/Ykh_C5JyIES8GGSsxvPGdA.jpg?width=1080&mode=crop&scale=both"},"badge":{"url":"https://www.ntv.com.tr/galeri/dunya/melissa-karayipleri-yikti-gecti-can-kaybi-44e-cikti,nqS4AEaxkEWmBKLRVSZ_sw","faviconSources":["https://www.ntv.com.tr"],"textParts":[],"divider":false}},{"id":"13662570643097944667_2","url":"https://www.ekonomim.com/dunya/melissa-kasirgasi-can-almaya-devam-ediyor-olu-sayisi-49a-yukseldi-haberi-852242","image":{"url":"//avatars.mds.yandex.net/get-searchnews-images/18894684/2a0000019a39731deb8bb49f106f01f24129//S280x140","size":{"width":280,"height":140},"originalUrl":"https://img.ekonomim.com/rcman/Cw1280h720q95gc/storage/files/images/2025/10/31/melissa-kasirgasi-can-almaya-devam-ediyor-olu-sayisi-49a-yukseldi-1d3c_cover.jpg"},"badge":{"url":"https://www.ekonomim.com/dunya/melissa-kasirgasi-can-almaya-devam-ediyor-olu-sayisi-49a-yukseldi-haberi-852242","faviconSources":["https://www.ekonomim.com"],"textParts":[],"divider":false}},{"id":"4606998462138349356_2","url":"https://www.mynet.com/melissa-kasirgasi-nedeniyle-karayipler-de-44-kisi-hayatini-kaybetti-190101295179","image":{"url":"//avatars.mds.yandex.net/get-searchnews-images/17968138/2a0000019a3977e053c26f935215bb2704fb//S280x140","size":{"width":280,"height":140},"originalUrl":"https://imgrosetta.mynet.com.tr/file/21935996/21935996-1200x675.jpg"},"badge":{"url":"https://www.mynet.com/melissa-kasirgasi-nedeniyle-karayipler-de-44-kisi-hayatini-kaybetti-190101295179","faviconSources":["https://www.mynet.com"],"textParts":[],"divider":false}},{"id":"5858422691154445640_2","url":"https://www.nefes.com.tr/melissa-karayiplerde-50-can-aldi-75653","image":{"url":"//avatars.mds.yandex.net/get-searchnews-images/16403125/2a0000019a39320b3f8e1cc560c97797b6fd//S280x140","size":{"width":280,"height":140},"originalUrl":"https://img.nefes.com.tr/rcman/Cw1280h720q95gc/storage/files/images/2025/10/31/melissa-karayiplerde-50-can-aldi-gdnj.jpg"},"badge":{"url":"https://www.nefes.com.tr/melissa-karayiplerde-50-can-aldi-75653","faviconSources":["https://www.nefes.com.tr"],"textParts":[],"divider":false}},{"id":"13920554153009896134_2","url":"https://www.haber3.com/foto-galeri/haber/felaketin-adi-melissa-simdiye-kadarki-en-siddetli-kasirga-yikip-geciyor-galeri-6240547","image":{"url":"//avatars.mds.yandex.net/get-searchnews-images/17968138/2a0000019a399f1081d7d82a1e5c8a517ec3//S280x140","size":{"width":280,"height":140},"originalUrl":"https://img.haber3.com/rcman/Cw1280h720q95gc/storage/files/images/2025/10/31/aw569414-12-4bej_cover.jpg"},"badge":{"url":"https://www.haber3.com/foto-galeri/haber/felaketin-adi-melissa-simdiye-kadarki-en-siddetli-kasirga-yikip-geciyor-galeri-6240547","faviconSources":["https://www.haber3.com"],"textParts":[],"divider":false}},{"id":"7794023680380360250_2","url":"https://yeniyasamgazetesi9.com/melissa-kasirgasi-jamaika-ve-haitide-44-kisi-yasamini-yitirdi/","image":{"url":"//avatars.mds.yandex.net/get-searchnews-images/16403125/2a0000019a3950829f7e1c71b8eb307dd689//S280x140","size":{"width":280,"height":140},"originalUrl":"https://yeniyasamgazetesi9.com/wp-content/uploads/2025/10/melissa_kasirga-1920x1080.jpg"},"badge":{"url":"https://yeniyasamgazetesi9.com/melissa-kasirgasi-jamaika-ve-haitide-44-kisi-yasamini-yitirdi/","faviconSources":["https://yeniyasamgazetesi9.com"],"textParts":[],"divider":false}}]},{"type":"text","url":"https://www.sabah.com.tr/dunya/yuzyilin-kasirgasi-yikarak-ilerliyor-7453456","text":{"text":"Karayipler'de son yılların en şiddetli fırtınalarından biri olan Melissa, Jamaika'da hayatı felç etti.","badge":{"url":"https://www.sabah.com.tr/dunya/yuzyilin-kasirgasi-yikarak-ilerliyor-7453456","textParts":[{"text":"1","bubble":true,"view":"grey"},{"text":"30 Ekim"}],"theme":"withBubble","divider":false},"logAttrs":{"summarizationText":"Karayipler'de son yılların en şiddetli fırtınalarından biri olan Melissa, Jamaika'da hayatı felç etti."}}},{"type":"text","id":"6584280489541620387","url":"https://www.cnnturk.com/video/dunya/karayipleri-melissa-kasirgasi-vurdu-2353742","text":{"text":"Jamaika Meteoroloji Servisi, kasırganın ülkeye kategori 5 seviyesinde ulaştığını ve yıkıcı ve ölümcül etkiler bıraktığını açıkladı.","badge":{"url":"https://www.cnnturk.com/video/dunya/karayipleri-melissa-kasirgasi-vurdu-2353742","textParts":[{"text":"2","bubble":true,"view":"grey"},{"text":"30 Ekim"}],"theme":"withBubble","divider":false},"logAttrs":{"summarizationText":"Jamaika Meteoroloji Servisi, kasırganın ülkeye kategori 5 seviyesinde ulaştığını ve yıkıcı ve ölümcül etkiler bıraktığını açıkladı."}}},{"type":"text","url":"https://www.haberler.com/dunya/melissa-yuz-yilin-kasirgasi-haiti-de-20-kisinin-19199873-haberi/","text":{"text":"Jamaika'nın 2,8 milyonluk nüfusunun %70'i kıyı şeridine 5 km mesafe içinde yaşıyor.","badge":{"url":"https://www.haberler.com/dunya/melissa-yuz-yilin-kasirgasi-haiti-de-20-kisinin-19199873-haberi/","textParts":[{"text":"3","bubble":true,"view":"grey"},{"text":"29 Ekim"}],"theme":"withBubble","divider":false},"logAttrs":{"summarizationText":"Jamaika'nın 2,8 milyonluk nüfusunun %70'i kıyı şeridine 5 km mesafe içinde yaşıyor."}}},{"type":"text","url":"https://www.birgun.net/haber/melissa-kasirgasi-nin-neden-oldugu-sel-sonucu-haiti-de-25-kisi-oldu-664716","text":{"text":"Şiddetli yağış, fırtına ve sel baskınlarına neden olan kasırga nedeniyle Küba Devlet Başkanı Miguel Diaz Canel, ülkede 735 binden fazla kişinin tahliye edildiğini bildirmişti.","badge":{"url":"https://www.birgun.net/haber/melissa-kasirgasi-nin-neden-oldugu-sel-sonucu-haiti-de-25-kisi-oldu-664716","textParts":[{"text":"4","bubble":true,"view":"grey"},{"text":"29 Ekim"}],"theme":"withBubble","divider":false},"logAttrs":{"summarizationText":"Şiddetli yağış, fırtına ve sel baskınlarına neden olan kasırga nedeniyle Küba Devlet Başkanı Miguel Diaz Canel, ülkede 735 binden fazla kişinin tahliye edildiğini bildirmişti."}}}]},"sources":[{"url":"https://www.sabah.com.tr/dunya/yuzyilin-kasirgasi-yikarak-ilerliyor-7453456","displayName":"sabah.com.tr"},{"url":"https://www.cnnturk.com/video/dunya/karayipleri-melissa-kasirgasi-vurdu-2353742","displayName":"cnnturk.com"},{"url":"https://www.haberler.com/dunya/melissa-yuz-yilin-kasirgasi-haiti-de-20-kisinin-19199873-haberi/","displayName":"haberler.com"},{"url":"https://www.birgun.net/haber/melissa-kasirgasi-nin-neden-oldugu-sel-sonucu-haiti-de-25-kisi-oldu-664716","displayName":"birgun.net"}],"otherNewsProps":{"layout":"multicolumn","title":"Diğer konular","items":[{"id":"15410936350768176659","url":"https://www.milliyet.com.tr/galeri/son-dakika-melissa-kasirgasi-vurdu-karayipler-yikildi-can-kaybi-artiyor-7474539","target":"_blank","title":{"text":"Melissa Kasırgası vurdu, Karayipler yıkıldı: Can kaybı artıyor!","textAs":"h3","lines":2},"logAttrs":{"id":"15410936350768176659","hasSummarization":false,"url":"https://www.milliyet.com.tr/galeri/son-dakika-melissa-kasirgasi-vurdu-karayipler-yikildi-can-kaybi-artiyor-7474539","isFresh":true},"badge":{"url":"https://www.milliyet.com.tr/galeri/son-dakika-melissa-kasirgasi-vurdu-karayipler-yikildi-can-kaybi-artiyor-7474539","faviconSources":["https://www.milliyet.com.tr"],"textParts":[{"text":"milliyet.com.tr","bold":true},{"text":"23 saat önce"}],"divider":false},"forceOrientation":"vertical","rel":"nofollow"},{"id":"8021035217983649969","url":"https://www.sabah.com.tr/dunya/melissa-kasirgasi-nedeniyle-karayiplerde-44-kisi-hayatini-kaybetti-7454373","target":"_blank","title":{"text":"Melissa Kasırgası nedeniyle Karayipler'de 44 kişi hayatını kaybetti","textAs":"h3","lines":2},"logAttrs":{"id":"8021035217983649969","hasSummarization":false,"url":"https://www.sabah.com.tr/dunya/melissa-kasirgasi-nedeniyle-karayiplerde-44-kisi-hayatini-kaybetti-7454373","isFresh":true},"badge":{"url":"https://www.sabah.com.tr/dunya/melissa-kasirgasi-nedeniyle-karayiplerde-44-kisi-hayatini-kaybetti-7454373","faviconSources":["https://www.sabah.com.tr"],"textParts":[{"text":"sabah.com.tr","bold":true},{"text":"23 saat önce"}],"divider":false},"forceOrientation":"vertical","rel":"nofollow"}]},"nextId":"15531709321211900743_2","snippetOptions":{"forceOrientation":"vertical","isRetina":false,"titleProps":{"lines":2}},"baseVisibleOtherSources":2,"relatedTopics":[],"video":{"embedUrl":"https://www.youtube.com/embed/5pbXaJCj79Q?enablejsapi=1&wmode=opaque","poster":{"image":{"url":"//avatars.mds.yandex.net/get-searchnews-images/16069429/2a0000019a3537b69bada6a1665ecfb4f3ed/S820x410","size":{"width":820,"height":410},"originalUrl":"https://avatars.mds.yandex.net/get-video_thumb_fresh/399000/306e8992020b6fc17925d306d153a7b81030_rt/orig"}}},"isHermione":false,"socialPosts":[],"disabledAjax":false,"logAttrs":{"isRoot":true,"isStory":true,"id":"528026_0","hasVideo":true,"hasSearchVideoLink":false,"hasSearchBroadcastLink":false,"hasSearchSeriesLink":false,"hasTwitterPosts":false,"hasSummarization":true,"hasRelatedTopics":false,"location":"gundem/incidents/yuzyilin-kasirgasi-yikarak-ilerliyor-5280260","newsUrls":["https://www.sabah.com.tr/dunya/yuzyilin-kasirgasi-yikarak-ilerliyor-7453456","https://www.cnnturk.com/video/dunya/karayipleri-melissa-kasirgasi-vurdu-2353742","https://www.haberler.com/dunya/melissa-yuz-yilin-kasirgasi-haiti-de-20-kisinin-19199873-haberi/","https://www.birgun.net/haber/melissa-kasirgasi-nin-neden-oldugu-sel-sonucu-haiti-de-25-kisi-oldu-664716","https://www.milliyet.com.tr/galeri/son-dakika-melissa-kasirgasi-vurdu-karayipler-yikildi-can-kaybi-artiyor-7474539","https://www.sabah.com.tr/dunya/melissa-kasirgasi-nedeniyle-karayiplerde-44-kisi-hayatini-kaybetti-7454373"],"videoUrls":["https://www.youtube.com/embed/5pbXaJCj79Q?enablejsapi=1&wmode=opaque"],"topicUrls":[]},"baobab":{"parentNode":{"context":{"genInfo":{"prefix":"4lk5w04-0-1"},"ui":"desktop","service":"news","fast":{"name":"newstr","subtype":"story_summarization"}}}}},"type":"newstr","subtype":"story_summarization"},"4lk54":{"state":{"answers":[{"id":0,"favicons":["https://favicon.yandex.net/favicon/v2/https://www.trthaber.com/haber/dunya/kasirga-melissa-jamaikayi-vurdu-agaclar-kokunden-sokuldu-timsah-uyarisi-yapildi-924192.html?size=16&stub=1","https://favicon.yandex.net/favicon/v2/https://anlatilaninotesi.com.tr/20251028/jamaika-tarihinin-en-guclu-kasirgasi-melissa-karaya-vurmaya-hazirlaniyor-bolge-altyapisi-buna-1100535463.html?size=16&stub=1","https://favicon.yandex.net/favicon/v2/https://yandex.com.tr/gundem/incidents/jamaika-ve-haiti-de-kasirga-uyarisi-siginak-arayin-evrensel-5240680?size=16&stub=1","https://favicon.yandex.net/favicon/v2/https://www.karar.com/dunya-haberleri/jamaika-kirmizi-alarmda-yuzyilin-firtinasi-melissa-geliyor-2002234?size=16&stub=1","https://favicon.yandex.net/favicon/v2/https://www.turkiyegazetesi.com.tr/dunya/ulke-alarma-gecti-milyonlarca-insan-risk-altinda-melisa-kasirgasi-kritik-boyutlara-ulasti-1155847?size=16&stub=1"],"title":"Jamaika Meteoroloji Servisi'nin kasırga tahminleri nelerdir?","markdown":"Jamaika Meteoroloji Servisi'nin kasırga tahminlerine dair güncel bilgiler bulunamadı. Ancak, 29 Ekim 2025 tarihinde yapılan açıklamada, servisin hava koşullarının \"gün boyunca ciddi şekilde kötüleşeceği\" uyarısında bulunduğu bildirildi [```1```](https://www.trthaber.com/haber/dunya/kasirga-melissa-jamaikayi-vurdu-agaclar-kokunden-sokuldu-timsah-uyarisi-yapildi-924192.html).\n\nKasırganın Jamaika'dan sonra Küba ve Bahamalar'ı etkilemesi bekleniyor [```1```](https://www.trthaber.com/haber/dunya/kasirga-melissa-jamaikayi-vurdu-agaclar-kokunden-sokuldu-timsah-uyarisi-yapildi-924192.html)[```2```](https://anlatilaninotesi.com.tr/20251028/jamaika-tarihinin-en-guclu-kasirgasi-melissa-karaya-vurmaya-hazirlaniyor-bolge-altyapisi-buna-1100535463.html).\n\nDaha fazla bilgi için aşağıdaki kaynaklar takip edilebilir:\n* trthaber.com [```1```](https://www.trthaber.com/haber/dunya/kasirga-melissa-jamaikayi-vurdu-agaclar-kokunden-sokuldu-timsah-uyarisi-yapildi-924192.html);\n* anlatilaninotesi.com.tr [```2```](https://anlatilaninotesi.com.tr/20251028/jamaika-tarihinin-en-guclu-kasirgasi-melissa-karaya-vurmaya-hazirlaniyor-bolge-altyapisi-buna-1100535463.html);\n* yandex.com.tr [```3```](https://yandex.com.tr/gundem/incidents/jamaika-ve-haiti-de-kasirga-uyarisi-siginak-arayin-evrensel-5240680)."},{"id":1,"favicons":["https://favicon.yandex.net/favicon/v2/https://blog.yesiltimsahkuba.com/kubaya-ne-zaman-gidilir/?size=16&stub=1","https://favicon.yandex.net/favicon/v2/https://www.yachting.com/tr-tr/news/hurricane-season-in-exotic-yachting-destinations?size=16&stub=1","https://favicon.yandex.net/favicon/v2/https://tripates.com/index.php/tr/best-time-to-visit-the-caribbean?size=16&stub=1","https://favicon.yandex.net/favicon/v2/https://www.bilgibaba.com/yazi/karayipler-neresi-karayip-ulkeleri-ve-hangi-kitada-olduguna-dair-tum-bilgiler?size=16&stub=1","https://favicon.yandex.net/favicon/v2/https://tr.traasgpu.com/karayip-hava-rehberi/?size=16&stub=1"],"title":"Karayipler'de kasırga sezonu ne zaman başlar?","markdown":"Karayipler'de kasırga sezonu, **Kuzey Yarımküre'de 1 Haziran'da başlayıp 30 Kasım'da sona erer** [```1```](https://blog.yesiltimsahkuba.com/kubaya-ne-zaman-gidilir/)[```2```](https://www.yachting.com/tr-tr/news/hurricane-season-in-exotic-yachting-destinations). \n\nGüney Yarımküre'de ise kasırga sezonu Kasım'dan Mayıs'a kadar sürer [```2```](https://www.yachting.com/tr-tr/news/hurricane-season-in-exotic-yachting-destinations)."},{"id":2,"favicons":["https://favicon.yandex.net/favicon/v2/https://www.bbc.com/turkce/articles/c9q1ylng08no?size=16&stub=1","https://favicon.yandex.net/favicon/v2/https://haber.sol.org.tr/haber/melissa-kasirgasi-kuba-topraklarini-terk-etti-herhangi-bir-can-kaybi-bildirilmedi-402713?size=16&stub=1","https://favicon.yandex.net/favicon/v2/https://www.sondakika.com/dunya/haber-melissa-kasirgasi-karayipler-i-vurdu-19199892/?size=16&stub=1","https://favicon.yandex.net/favicon/v2/https://tr.euronews.com/2025/10/29/melissa-kasirgasi-kubaya-ulasti-700000den-fazla-kisi-tahliye-edildi?size=16&stub=1","https://favicon.yandex.net/favicon/v2/https://www.trthaber.com/haber/dunya/kasirga-melissa-jamaikayi-vurdu-agaclar-kokunden-sokuldu-timsah-uyarisi-yapildi-924192.html?size=16&stub=1"],"title":"Melissa kasırgası Küba'yı nasıl etkiledi?","markdown":"**Melissa Kasırgası, Küba'yı şu şekillerde etkiledi:**\n\n* **Hasar**: Küba'da büyük hasar meydana geldi [```2```](https://haber.sol.org.tr/haber/melissa-kasirgasi-kuba-topraklarini-terk-etti-herhangi-bir-can-kaybi-bildirilmedi-402713). Elektrik ve telekomünikasyon şebekeleri çöktü, yollar ve köprüler hasar gördü [```2```](https://haber.sol.org.tr/haber/melissa-kasirgasi-kuba-topraklarini-terk-etti-herhangi-bir-can-kaybi-bildirilmedi-402713).\n* **Tahliye**: Kübalı yetkililer, yaklaşık 500 bin kişiyi güvenli yerlere tahliye etti [```1```](https://www.bbc.com/turkce/articles/c9q1ylng08no)[```4```](https://tr.euronews.com/2025/10/29/melissa-kasirgasi-kubaya-ulasti-700000den-fazla-kisi-tahliye-edildi).\n* **Yağış**: Kasırga, kıyılarda 6 ila 8 metreye ulaşan dalgalara ve yer yer sağanak yağmurlara neden oldu [```2```](https://haber.sol.org.tr/haber/melissa-kasirgasi-kuba-topraklarini-terk-etti-herhangi-bir-can-kaybi-bildirilmedi-402713).\n* **İlerleme**: Kasırga, Küba'nın doğusunda ilerleyerek kuzeyde Holguin kentine doğru hareket etti [```2```](https://haber.sol.org.tr/haber/melissa-kasirgasi-kuba-topraklarini-terk-etti-herhangi-bir-can-kaybi-bildirilmedi-402713).\n* **Ekonomik etki**: Kasırga, Küba'nın halihazırda var olan ekonomik krizi daha da kötüleştirme riski taşıyor [```4```](https://tr.euronews.com/2025/10/29/melissa-kasirgasi-kubaya-ulasti-700000den-fazla-kisi-tahliye-edildi).\n\nKüba'da şu ana kadar herhangi bir can kaybı bildirilmedi [```2```](https://haber.sol.org.tr/haber/melissa-kasirgasi-kuba-topraklarini-terk-etti-herhangi-bir-can-kaybi-bildirilmedi-402713)."},{"id":3,"favicons":["https://favicon.yandex.net/favicon/v2/https://oxu.az/tr/dunye/melissa-kasirgasindan-sonra-jamaika-felaket-bolgesi-ilan-edildi?size=16&stub=1","https://favicon.yandex.net/favicon/v2/https://www.trthaber.com/haber/dunya/kasirga-melissa-jamaikayi-vurdu-agaclar-kokunden-sokuldu-timsah-uyarisi-yapildi-924192.html?size=16&stub=1","https://favicon.yandex.net/favicon/v2/https://anlatilaninotesi.com.tr/20251029/kasirga-melissa-jamaikayi-yerle-bir-edip-kubaya-gecti-olu-sayisi-artiyor-1100581615.html?size=16&stub=1","https://favicon.yandex.net/favicon/v2/https://yandex.com.tr/gundem/incidents/jamaika-ve-haiti-de-kasirga-uyarisi-siginak-arayin-evrensel-5240680?size=16&stub=1","https://favicon.yandex.net/favicon/v2/https://abcgazetesi.com.tr/melissa-kasirgasi-haiti-ve-jamaikada-can-kayiplarina-ve-yikima-yol-acti-848478?size=16&stub=1"],"title":"Kasırga sonrası Jamaika'da hangi önlemler alındı?","markdown":"Melissa Kasırgası sonrası Jamaika'da alınan bazı önlemler:\n\n* **Felaket bölgesi ilanı**: Jamaika Başbakanı Andrew Holness, ülkeyi felaket bölgesi ilan etti [```1```](https://oxu.az/tr/dunye/melissa-kasirgasindan-sonra-jamaika-felaket-bolgesi-ilan-edildi)[```3```](https://anlatilaninotesi.com.tr/20251029/kasirga-melissa-jamaikayi-yerle-bir-edip-kubaya-gecti-olu-sayisi-artiyor-1100581615.html).\n* **Tahliye**: Yaklaşık 25 bin kişi sığınaklara tahliye edildi [```3```](https://anlatilaninotesi.com.tr/20251029/kasirga-melissa-jamaikayi-yerle-bir-edip-kubaya-gecti-olu-sayisi-artiyor-1100581615.html)[```5```](https://abcgazetesi.com.tr/melissa-kasirgasi-haiti-ve-jamaikada-can-kayiplarina-ve-yikima-yol-acti-848478).\n* **Elektrik kesintileri**: Ülke genelinde yaklaşık üçte bir oranında elektrik kesintisi yaşandı [```2```](https://www.trthaber.com/haber/dunya/kasirga-melissa-jamaikayi-vurdu-agaclar-kokunden-sokuldu-timsah-uyarisi-yapildi-924192.html)[```5```](https://abcgazetesi.com.tr/melissa-kasirgasi-haiti-ve-jamaikada-can-kayiplarina-ve-yikima-yol-acti-848478).\n* **Zorunlu hazırlık çağrısı**: Başbakan Holness, tüm vatandaşları kasırgaya karşı hazırlık yapmaya çağırdı [```4```](https://yandex.com.tr/gundem/incidents/jamaika-ve-haiti-de-kasirga-uyarisi-siginak-arayin-evrensel-5240680).\n* **Uluslararası işbirliği**: Olası afet senaryolarına karşı uluslararası yardım kuruluşlarıyla koordineli çalışmalar yürütüldü [```4```](https://yandex.com.tr/gundem/incidents/jamaika-ve-haiti-de-kasirga-uyarisi-siginak-arayin-evrensel-5240680).\n* **Onarım çalışmaları**: Kurtarma ve onarım çalışmalarına hemen başlanacağı açıklandı [```3```](https://anlatilaninotesi.com.tr/20251029/kasirga-melissa-jamaikayi-yerle-bir-edip-kubaya-gecti-olu-sayisi-artiyor-1100581615.html)."},{"id":4,"favicons":["https://favicon.yandex.net/favicon/v2/https://www.trthaber.com/haber/dunya/kasirga-melissa-jamaikayi-vurdu-agaclar-kokunden-sokuldu-timsah-uyarisi-yapildi-924192.html?size=16&stub=1","https://favicon.yandex.net/favicon/v2/https://gazeteoksijen.com/dunya/alarm-verildi-dunyanin-en-guclu-firtinasi-melissa-kasirgasi-jamaikaya-yaklasiyor-neler-biliniyor-255217?size=16&stub=1","https://favicon.yandex.net/favicon/v2/https://www.karar.com/dunya-haberleri/jamaika-kirmizi-alarmda-yuzyilin-firtinasi-melissa-geliyor-2002234?size=16&stub=1","https://favicon.yandex.net/favicon/v2/https://www.dunya.com/dunya/jamaikada-yuzyilin-firtinasi-melissa-kasirgasi-15-milyon-kisiyi-etkileyebilir-haberi-800540?size=16&stub=1","https://favicon.yandex.net/favicon/v2/https://www.ntv.com.tr/galeri/dunya/yilin-en-guclu-kasirgasi-jamaikayi-vurmak-uzere-melissa-hakkinda-ne-biliyoruz,5WnQuBhbQkmLxGUsaqujyw?size=16&stub=1"],"title":"Melissa kasırgasının Jamaika'ya etkileri nelerdir?","markdown":"Melissa Kasırgası'nın Jamaika'ya etkileri şunlardır:\n\n* **Elektrik kesintileri**: Ülke genelinde yaklaşık üçte bir oranında elektrik kesintisi yaşandı [```1```](https://www.trthaber.com/haber/dunya/kasirga-melissa-jamaikayi-vurdu-agaclar-kokunden-sokuldu-timsah-uyarisi-yapildi-924192.html)[```4```](https://www.dunya.com/dunya/jamaikada-yuzyilin-firtinasi-melissa-kasirgasi-15-milyon-kisiyi-etkileyebilir-haberi-800540).\n* **Altyapı hasarı**: Birçok bölgede ağaçlar devrildi, evlerin çatıları uçtu [```1```](https://www.trthaber.com/haber/dunya/kasirga-melissa-jamaikayi-vurdu-agaclar-kokunden-sokuldu-timsah-uyarisi-yapildi-924192.html)[```4```](https://www.dunya.com/dunya/jamaikada-yuzyilin-firtinasi-melissa-kasirgasi-15-milyon-kisiyi-etkileyebilir-haberi-800540).\n* **Can kayıpları**: Kasırga nedeniyle Jamaika'da 3 kişi hayatını kaybetti [```2```](https://gazeteoksijen.com/dunya/alarm-verildi-dunyanin-en-guclu-firtinasi-melissa-kasirgasi-jamaikaya-yaklasiyor-neler-biliniyor-255217)[```4```](https://www.dunya.com/dunya/jamaikada-yuzyilin-firtinasi-melissa-kasirgasi-15-milyon-kisiyi-etkileyebilir-haberi-800540).\n* **Sel ve heyelan riski**: Yoğun yağışlar, sel ve heyelan riskini artırdı [```1```](https://www.trthaber.com/haber/dunya/kasirga-melissa-jamaikayi-vurdu-agaclar-kokunden-sokuldu-timsah-uyarisi-yapildi-924192.html)[```3```](https://www.karar.com/dunya-haberleri/jamaika-kirmizi-alarmda-yuzyilin-firtinasi-melissa-geliyor-2002234)[```5```](https://www.ntv.com.tr/galeri/dunya/yilin-en-guclu-kasirgasi-jamaikayi-vurmak-uzere-melissa-hakkinda-ne-biliyoruz,5WnQuBhbQkmLxGUsaqujyw).\n* **Zorunlu tahliyeler**: Başkent Kingston ve çevresinde zorunlu tahliyeler başladı, 800'den fazla sığınak açıldı [```2```](https://gazeteoksijen.com/dunya/alarm-verildi-dunyanin-en-guclu-firtinasi-melissa-kasirgasi-jamaikaya-yaklasiyor-neler-biliniyor-255217)[```5```](https://www.ntv.com.tr/galeri/dunya/yilin-en-guclu-kasirgasi-jamaikayi-vurmak-uzere-melissa-hakkinda-ne-biliyoruz,5WnQuBhbQkmLxGUsaqujyw).\n* **Ekonomik etki**: Kasırga, özellikle dağlık bölgelerde büyük maddi hasara yol açtı [```1```](https://www.trthaber.com/haber/dunya/kasirga-melissa-jamaikayi-vurdu-agaclar-kokunden-sokuldu-timsah-uyarisi-yapildi-924192.html).\n\nMelissa Kasırgası, Jamaika için yüzyılın fırtınası olarak nitelendiriliyor [```1```](https://www.trthaber.com/haber/dunya/kasirga-melissa-jamaikayi-vurdu-agaclar-kokunden-sokuldu-timsah-uyarisi-yapildi-924192.html)[```3```](https://www.karar.com/dunya-haberleri/jamaika-kirmizi-alarmda-yuzyilin-firtinasi-melissa-geliyor-2002234)[```4```](https://www.dunya.com/dunya/jamaikada-yuzyilin-firtinasi-melissa-kasirgasi-15-milyon-kisiyi-etkileyebilir-haberi-800540)."}],"isYazekaApp":false,"dialogStoreProps":{"baseUrl":""},"globalStoreProps":{"imageBackendUrl":"https://www.yandex.com.tr/images-apphost/image-download?cbird=171","query":"","retina":false,"avatarId":"0","isMacOS":false,"isEmbeddedFuturis":false,"brand":"yazeka","device":{"isIOS":false,"platform":"desktop"}},"logNode":{"name":"news-yazeka","attrs":{"isRoot":true,"isRelatedQueries":true}},"baobab":{"parentNode":{"context":{"genInfo":{"prefix":"4lk5w05-0-1"},"ui":"desktop","service":"news","fast":{"name":"newstr","subtype":"related_queries"}}}}},"type":"newstr","subtype":"related_queries"},"4lk55":{"state":{"snippets":[{"id":"529984_0","totalSources":64,"url":"/gundem/incidents/arnavutkoy-de-seyir-halindeki-iett-otobusunde-cikan-kavgada-1-kisi-hayatini-kaybetti-5299840","target":"_self","poster":{"image":{"url":"//avatars.mds.yandex.net/get-searchnews-images/16069429/2a0000019a3a1221b591156561debfb737af//S156x100","size":{"width":156,"height":100},"originalUrl":"https://static.birgun.net/resim/big-haber/2025/10/31/seyir-halindeki-otobuste-cikan-kavgada-1-kisi-oldu-2-kisi-yaralandi-iett-den-aciklama.jpg"}},"logAttrs":{"id":"529984_0","hasSummarization":true,"urls":["https://www.birgun.net/haber/seyir-halindeki-otobuste-cikan-kavgada-1-kisi-oldu-2-kisi-yaralandi-iett-den-aciklama-665255","https://www.canligaste.com/guncelleme-2-arnavutkoy-de-seyir-halindeki-iett-otobusunde-cikan-kavgada-1-kisi-hayatini-kaybetti/736376/","https://www.birgun.net/haber/seyir-halindeki-otobuste-cikan-kavgada-1-kisi-oldu-2-kisi-yaralandi-iett-den-aciklama-665255","https://www.haberler.com/guncel/iett-otobusunde-kavga-1-olu-2-yarali-19205479-haberi/"],"summarizationTexts":["Seyir halindeki otobüste çıkan kavgada 1 kişi öldü, 2 kişi yaralandı: İETT'den açıklama","İstanbul Haberleri - Arnavutköy'de seyir halindeki İETT otobüsünde çıkan kavgada 1 kişi hayatını kaybetti, şoför ve bir yolcu yaralandı.","Haraççı Mahallesi Hadımköy Caddesi'nde seyir halinde olan 36 HT Fatih Mahallesi-Cebeci hattındaki İETT otobüsünde iki yolcu arasında henüz bilinmeyen nedenle kavga çıktı.","Kavgayı ayırmak için müdahalede bulunan şoför ile 2 yolcu bıçakla yaralandı."],"isStoryFresh":true,"newsFreshness":[true,true,true]},"title":{"text":"Seyir halindeki otobüste çıkan kavgada 1 kişi öldü, 2 kişi yaralandı: İETT'den açıklama","textAs":"h3","size":"s"},"badge":{"url":"https://www.canligaste.com/guncelleme-2-arnavutkoy-de-seyir-halindeki-iett-otobusunde-cikan-kavgada-1-kisi-hayatini-kaybetti/736376/","faviconSources":["https://www.canligaste.com","https://www.birgun.net","https://www.haberler.com"],"textParts":[{"text":"19 saat önce"}],"divider":false},"hasVideo":false,"timelineGroupTitle":"Dün","timelineGroupIsToday":false,"timelineTime":"14:39"},{"id":"529981_0","totalSources":37,"url":"/gundem/incidents/koy-muhtari-traktorle-kazan-arasinda-sikisarak-agir-yaralandi-5299810","target":"_self","poster":{"image":{"url":"//avatars.mds.yandex.net/get-searchnews-images/18894684/2a0000019a39ef30e4c9b48dcf743f579c6f//S156x100","size":{"width":156,"height":100},"originalUrl":"https://foto.haberler.com/haber/2025/10/31/koy-muhtari-traktorle-kazan-arasinda-sikisara-19205369_amp.jpg"}},"logAttrs":{"id":"529981_0","hasSummarization":true,"urls":["https://www.haberler.com/3-sayfa/inebolu-da-muhtar-traktor-kazasinda-agir-yaralandi-19205369-haberi/","https://www.haberler.com/3-sayfa/inebolu-da-muhtar-traktor-kazasinda-agir-yaralandi-19205369-haberi/","https://www.hursozgazetesi.com/koy-muhtari-traktorle-kazan-arasinda-sikisarak-agir-yaralandi","https://www.pusulagazetesi.com.tr/koy-muhtari-traktorle-kazan-arasinda-sikisti"],"summarizationTexts":["İnebolu'da Muhtar Traktör Kazasında Ağır Yaralandı","Kastamonu'nun İnebolu ilçesinde traktör ile arkasına bağlı olan kazan arasında sıkışan köy muhtarı, ağır yaralandı.","Ağır yaralanan muhtar, çevredeki vatandaşlarının yardımıyla sıkıştığı yerden kurtarıldı.","Olay yerine çağrılan sağlık ekipleri tarafından İnebolu Devlet Hastanesi’ne kaldırılan İbrahim Tunoğlu, buradaki ilk müdahalesinin ardından Kastamonu Eğitim ve Araştırma Hastanesi’ne sevk edildi."],"isStoryFresh":true,"newsFreshness":[true,true,true]},"title":{"text":"İnebolu'da Muhtar Traktör Kazasında Ağır Yaralandı","textAs":"h3","size":"s"},"badge":{"url":"https://www.haberler.com/3-sayfa/inebolu-da-muhtar-traktor-kazasinda-agir-yaralandi-19205369-haberi/","faviconSources":["https://www.haberler.com","https://www.hursozgazetesi.com","https://www.pusulagazetesi.com.tr"],"textParts":[{"text":"19 saat önce"}],"divider":false},"hasVideo":false,"timelineGroupTitle":"Dün","timelineGroupIsToday":false,"timelineTime":"14:39"},{"id":"529466_0","totalSources":57,"url":"/gundem/incidents/polisten-gocmen-kacakciligi-operasyonu-5294660","target":"_self","poster":{"image":{"url":"//avatars.mds.yandex.net/get-searchnews-images/16403125/2a0000019a3909428b542e447583aa8fe67d//S156x100","size":{"width":156,"height":100},"originalUrl":"https://foto.haberler.com/haber/2025/10/31/polisin-kimse-var-mi-sorusunun-yanitsiz-kaldi-19203928_amp.jpg"}},"logAttrs":{"id":"529466_0","hasSummarization":true,"urls":["https://www.haberler.com/3-sayfa/hatay-da-31-gocmen-durdurulan-kamyonda-yakalandi-19203928-haberi/","https://www.haberler.com/3-sayfa/hatay-da-31-gocmen-durdurulan-kamyonda-yakalandi-19203928-haberi/","https://www.yenimesaj.com.tr/hatayda-kamyondan-31-kacak-gocmen-cikti-H1588934.htm","https://www.nefes.com.tr/polisin-durdurdugu-kamyondan-31-gocmen-cikarildi-75626"],"summarizationTexts":["Hatay'da 31 Göçmen, Durdurulan Kamyonda Yakalandı","İl Emniyet Müdürlüğü ekipleri, kentte göçmen kaçakçılığının önüne geçmek için çalışmalarını aralıksız sürdürüyor.","Bu kapsamda Erzin uygulama noktasında şüpheli görülen kamyon durduruldu.","Olayla ilgili yakalanan 1 organizatör çıkarıldığı mahkemece tutuklanarak cezaevine gönderildi."],"isStoryFresh":false,"newsFreshness":[true,true,true]},"title":{"text":"Hatay'da 31 Göçmen, Durdurulan Kamyonda Yakalandı","textAs":"h3","size":"s"},"badge":{"url":"https://www.haberler.com/3-sayfa/hatay-da-31-gocmen-durdurulan-kamyonda-yakalandi-19203928-haberi/","faviconSources":["https://www.haberler.com","https://www.yenimesaj.com.tr","https://www.nefes.com.tr"],"textParts":[{"text":"Dün"}],"divider":false},"hasVideo":false,"timelineGroupTitle":"Dün","timelineGroupIsToday":false,"timelineTime":"10:15"},{"id":"529258_0","totalSources":81,"url":"/gundem/incidents/balikesir-de-yine-deprem-oldu-5292580","target":"_self","poster":{"image":{"url":"//avatars.mds.yandex.net/get-searchnews-images/17968138/2a0000019a370489eaa6fa75859f379dd31a//S156x100","size":{"width":156,"height":100},"originalUrl":"https://img.f5haber.com/rcman/Cw1280h720q95gc/storage/files/images/2025/10/31/f5haber-g9so_cover.jpg"}},"logAttrs":{"id":"529258_0","hasSummarization":true,"hasVideo":true,"urls":["https://www.milliyet.com.tr/gundem/balikesirde-4-1-buyuklugunde-deprem-7474336","https://www.f5haber.com/gundem/bolgede-artcilar-suruyor-balikesirde-41-buyuklugunde-deprem-6841322","https://www.birgun.net/haber/balikesir-de-4-1-buyuklugunde-deprem-665032","https://www.baskagazete.com/haber/balikesir-de-bir-deprem-daha-204490.html"],"summarizationTexts":["Balıkesir'de 4,1 büyüklüğünde deprem","Balıkesir'in Sındırgı ilçesinde 4,1 büyüklüğünde bir deprem meydana geldi.","Depremin 13.58 kilometre derinlikte meydana geldiği belirlendi.","Afet ve Acil Durum Yönetimi Başkanlığı'nın (AFAD) verilerine göre, sarsıntı 30 Ekim 2025 tarihinde saat 23.52'de kaydedildi."],"isStoryFresh":true,"newsFreshness":[true,true,true]},"title":{"text":"Balıkesir'de 4,1 büyüklüğünde deprem","textAs":"h3","size":"s"},"badge":{"url":"https://www.f5haber.com/gundem/bolgede-artcilar-suruyor-balikesirde-41-buyuklugunde-deprem-6841322","faviconSources":["https://www.f5haber.com","https://www.birgun.net","https://www.baskagazete.com"],"textParts":[{"text":"Dün"}],"divider":false},"hasVideo":true,"timelineGroupTitle":"Dün","timelineGroupIsToday":false,"timelineTime":"00:39"},{"id":"529804_0","totalSources":64,"url":"/gundem/incidents/kocaeli-de-kadin-cinayeti-once-esini-sonra-kendini-5298040","target":"_self","poster":{"image":{"url":"//avatars.mds.yandex.net/get-searchnews-images/16069429/2a0000019a3d96b4cacacef1c81bb18bf537//S156x100","size":{"width":156,"height":100},"originalUrl":"https://iasbh.tmgrup.com.tr/c7fce1/1200/675/0/0/535/300?u=https://isbh.tmgrup.com.tr/sbh/2025/10/31/tartistigi-karisini-bicakla-oldurdu-1761939105039.jpeg"}},"logAttrs":{"id":"529804_0","hasSummarization":true,"urls":["https://www.birgun.net/haber/kocaelide-kadin-cinayeti-ramazan-gokmen-isimli-erkek-evli-oldugu-kadini-katletti-665223","https://www.sabah.com.tr/yasam/tartistigi-karisini-bicakla-oldurdu-7454745","https://www.birgun.net/haber/kocaelide-kadin-cinayeti-ramazan-gokmen-isimli-erkek-evli-oldugu-kadini-katletti-665223","https://www.muhalif.com.tr/gundem/kocaelide-kadin-cinayeti-ramazan-gokmen-isimli-sahis-evli-oldugu-kadini-bicakla-katletti/719757"],"summarizationTexts":["Kocaeli’de kadın cinayeti: Ramazan Gökmen isimli erkek evli olduğu kadını katletti","Kocaeli'nin Körfez ilçesinde karısını bıçakla öldüren kişi, intihar girişiminde bulundu.","Olay, saat 10.00 sıralarında Esentepe Mahallesi Çınar Sokak'ta meydana geldi.","Binnur Gökmen'i bıçaklayarak katleden Ramazan Gökmen, kendisini de karnından ve vücudunun 3 yerinden bıçakladı."],"isStoryFresh":true,"newsFreshness":[true,true,true]},"title":{"text":"Kocaeli’de kadın cinayeti: Ramazan Gökmen isimli erkek evli olduğu kadını katletti","textAs":"h3","size":"s"},"badge":{"url":"https://www.sabah.com.tr/yasam/tartistigi-karisini-bicakla-oldurdu-7454745","faviconSources":["https://www.sabah.com.tr","https://www.birgun.net","https://www.muhalif.com.tr"],"textParts":[{"text":"21 saat önce"}],"divider":false},"hasVideo":false,"timelineGroupTitle":"Dün","timelineGroupIsToday":false,"timelineTime":"12:49"},{"id":"529859_0","totalSources":58,"url":"/gundem/incidents/cami-insaatinda-gocuk-alti-kisi-icinde-kaldi-5298590","target":"_self","poster":{"image":{"url":"//avatars.mds.yandex.net/get-searchnews-images/16069429/2a0000019a39c45b89ff5c1a7f4166011cb5//S156x100","size":{"width":156,"height":100},"originalUrl":"https://besniguncelcom.teimg.com/crop/1280x720/besniguncel-com/uploads/2025/10/adiyamanda-yapimi-suren-camide-gocuk-altinda-kalan-6-kisi-kurtarildi.jpg"}},"logAttrs":{"id":"529859_0","hasSummarization":true,"urls":["https://www.besniguncel.com/adiyamanda-yapimi-suren-camide-gocuk-altinda-kalan-6-kisi-kurtarildi","https://www.besniguncel.com/adiyamanda-yapimi-suren-camide-gocuk-altinda-kalan-6-kisi-kurtarildi","https://t24.com.tr/haber/adiyaman-da-cami-insaatinda-gocuk-6-isci-kurtarildi-1-inin-durumu-agir,1272210","https://www.haberler.com/guncel/adiyaman-da-camide-gocuk-6-kisi-kurtarildi-19205102-haberi/"],"summarizationTexts":["Adıyaman'da yapımı süren camide göçük altında kalan 6 kişi kurtarıldı","ADIYAMAN (AA) - Adıyaman'da yapımı süren camide beton döküldüğü sırada oluşan göçükte kalan 6 kişi kurtarıldı.","Merkeze bağlı Hasankendi köyünde yapımı süren caminin kubbesinin betonunun döküldüğü sırada, beton kalıplarının birbirinden ayrılması sonucu göçük oluştu.","Göçük altından çıkarılan 6 kişi, sağlık ekiplerine teslim edildi."],"isStoryFresh":true,"newsFreshness":[true,true,true]},"title":{"text":"Adıyaman'da yapımı süren camide göçük altında kalan 6 kişi kurtarıldı","textAs":"h3","size":"s"},"badge":{"url":"https://www.besniguncel.com/adiyamanda-yapimi-suren-camide-gocuk-altinda-kalan-6-kisi-kurtarildi","faviconSources":["https://www.besniguncel.com","https://t24.com.tr","https://www.haberler.com"],"textParts":[{"text":"21 saat önce"}],"divider":false},"hasVideo":false,"timelineGroupTitle":"Dün","timelineGroupIsToday":false,"timelineTime":"13:38"},{"id":"529453_0","totalSources":50,"url":"/gundem/incidents/13-yasindaki-cocuk-arkadasini-boynundan-bicakladi-5294530","target":"_self","poster":{"image":{"url":"//avatars.mds.yandex.net/get-searchnews-images/18894684/2a0000019a3ddda08ed5763b860664ecc345//S156x100","size":{"width":156,"height":100},"originalUrl":"https://s1.dmcdn.net/v/ZLjbM1f1NzYKz2phw"}},"logAttrs":{"id":"529453_0","hasSummarization":true,"hasVideo":true,"urls":["https://www.cnnturk.com/yerel-haberler/istanbul/beyoglunda-13-yasindaki-arkadasini-bicaklayan-supheli-yakalandi-2354372","https://t24.com.tr/video/tartistigi-arkadasini-boynundan-bicakladi-13-yasindaki-cocuk-katliam-yapacagim-demis,66705","https://www.posta.com.tr/gundem/beyoglunda-akran-dehseti-ortaokul-ogrencisi-arkadasini-boynundan-bicakladi-2927693","https://www.milliyet.com.tr/yerel-haberler/istanbul/beyoglunda-13-yasindaki-arkadasini-bicaklayan-7474597"],"summarizationTexts":["Beyoğlu'nda 13 yaşındaki arkadaşını bıçaklayan şüpheli yakalandı","Beyoğlu’nda M.A., (13) aynı okulda okuduğu arkadaşı E.D. (13) ile tartıştı.","Bir süre sonra sokağa giren M.A., karşısına çıkan E.D. tarafından boynundan bıçaklandı.","Yaralanan M.A, koşarak olay yerinden uzaklaştıktan bir süre sonra sağlık ekiplerince hastaneye kaldırıldı."],"isStoryFresh":true,"newsFreshness":[true,true,true]},"title":{"text":"Beyoğlu'nda 13 yaşındaki arkadaşını bıçaklayan şüpheli yakalandı","textAs":"h3","size":"s"},"badge":{"url":"https://t24.com.tr/video/tartistigi-arkadasini-boynundan-bicakladi-13-yasindaki-cocuk-katliam-yapacagim-demis,66705","faviconSources":["https://t24.com.tr","https://www.posta.com.tr","https://www.milliyet.com.tr"],"textParts":[{"text":"Dün"}],"divider":false},"hasVideo":true,"timelineGroupTitle":"Dün","timelineGroupIsToday":false,"timelineTime":"10:15"},{"id":"529083_0","totalSources":82,"url":"/gundem/incidents/bolu-yangin-davasinda-bakan-ersoy-un-yargilanmasi-isteniyor-5290830","target":"_self","poster":{"image":{"url":"//avatars.mds.yandex.net/get-searchnews-images/17968138/2a0000019a34e242ab820a595291e2ccc25c//S156x100","size":{"width":156,"height":100},"originalUrl":"https://haberton.com/wp-content/uploads/2025/10/Bolu-yangininda-tuyler-urperten-savunma-Benim-muvekkilim-geri-zekalif.png"}},"logAttrs":{"id":"529083_0","hasSummarization":true,"hasVideo":true,"urls":["https://www.canligaste.com/bolu-daki-grand-kartal-otel-yangini-davasinda-saniklar-mutalaaya-karsi-savunma-yapti/735869/","https://www.haberler.com/guncel/bolu-yangin-davasinda-bakan-ersoy-un-yargilanmasi-isteniyor-19201689-haberi/","https://haberton.com/bolu-yangininda-tuyler-urperten-savunma-benim-muvekkilim-geri-zekali/","https://www.canligaste.com/bolu-daki-grand-kartal-otel-yangini-davasinda-saniklar-mutalaaya-karsi-savunma-yapti/735869/"],"summarizationTexts":["Bolu'daki Grand Kartal Otel yangını davasında sanıklar mütalaaya karşı savunma yaptı","Bolu Kartalkaya'da bulunan Grand Kartal Otel'de, 21 Ocak'ta 78 kişinin yaşamını yitirdiği, 133 kişinin yaralandığı yangın faciasına ilişkin, 20'si tutuklu toplam 32 sanığın yargılandığı davanın üçüncü duruşmasının üçüncü celsesi, 29 Ekim Cumhuriyet Bayramı nedeniyle verilen bir gün aranın ardından Bolu 1. Ağır Ceza Mahkemesi'nde görülmeye devam ediliyor.","Grand Kartal A.Ş bünyesindeki Gazelle Otel’in Muhasebe Müdürü tutuklu sanık Kadir Özdemir, muhasebe personeli tutuklu sanık Mehmet Salun ve muhasebe müdür yardımcısı tutuklu sanık Cemal Özer, daha önceki beyanlarına katıldıklarını ifade etti.","Şirketin genel müdürü tutuklu sanık Emir Aras da yangın uygunluk belgesini hayatında ilk defa 16 Aralık 2024'de duyduğunu belirtti."],"isStoryFresh":true,"newsFreshness":[true,true,true]},"title":{"text":"Bolu'daki Grand Kartal Otel yangını davasında sanıklar mütalaaya karşı savunma yaptı","textAs":"h3","size":"s"},"badge":{"url":"https://www.haberler.com/guncel/bolu-yangin-davasinda-bakan-ersoy-un-yargilanmasi-isteniyor-19201689-haberi/","faviconSources":["https://www.haberler.com","https://haberton.com","https://www.canligaste.com"],"textParts":[{"text":"Dün"}],"divider":false},"hasVideo":true,"timelineGroupTitle":"30 Ekim","timelineGroupIsToday":false,"timelineTime":"19:57"},{"id":"529590_0","totalSources":38,"url":"/gundem/incidents/adiyaman-da-feci-kaza-1-polis-1-muhtar-agir-yarali-5295900","target":"_self","poster":{"image":{"url":"//avatars.mds.yandex.net/get-searchnews-images/16403125/2a0000019a393d8b2cda80f6a5779fb9259b//S156x100","size":{"width":156,"height":100},"originalUrl":"https://foto.haberler.com/haber/2025/10/31/adiyaman-da-feci-kaza-1-polis-1-muhtar-agir-y-19204250_amp.jpg"}},"logAttrs":{"id":"529590_0","hasSummarization":true,"hasVideo":true,"urls":["https://www.haberler.com/3-sayfa/adiyaman-da-kafa-kafaya-carpisma-1-polis-ve-1-muhtar-agir-yaralandi-19204250-haberi/","https://www.adiyamangundemi.com/haber/adiyaman-da-feci-kaza-1-polis-1-muhtar-agir-yarali-n_22162/","https://www.haberler.com/3-sayfa/adiyaman-da-kafa-kafaya-carpisma-1-polis-ve-1-muhtar-agir-yaralandi-19204250-haberi/","https://www.kamu3.com/adiyaman-da-feci-kaza-1-polis-1-muhtar-agir-yarali/1173938/"],"summarizationTexts":["Adıyaman'da Kafa Kafaya Çarpışma: 1 Polis ve 1 Muhtar Ağır Yaralandı","Edinilen bilgilere göre, Adıyaman’da, iki otomobilin kafa kafaya çarpışması sonucu meydana gelen feci kazada 1 polis ve 1 muhtar ağır yaralandı.","Edinilen bilgilere göre, Adıyaman- Kahta kara yolu Hasancık köyü yakınlarında Adıyaman İl Emniyet Müdürlüğü'nde görevli polis memuru Cengiz A. (38), idaresindeki 34 BRA 677 plakalı otomobil ile Kahramanmaraş'ın Dulkadiroğlu ilçesinde muhtar olan Ali A., idaresindeki 34 GIB 333 plakalı otomobil kafa kafaya çarpıştı.","Yol çalışması nedeniyle tek şeride düşen yolda meydana gelen kazada polis memuru Cengiz A., ile mahalle muhtarı Ali A., yaralandı."],"isStoryFresh":true,"newsFreshness":[true,true,true]},"title":{"text":"Adıyaman'da Kafa Kafaya Çarpışma: 1 Polis ve 1 Muhtar Ağır Yaralandı","textAs":"h3","size":"s"},"badge":{"url":"https://www.adiyamangundemi.com/haber/adiyaman-da-feci-kaza-1-polis-1-muhtar-agir-yarali-n_22162/","faviconSources":["https://www.adiyamangundemi.com","https://www.haberler.com","https://www.kamu3.com"],"textParts":[{"text":"23 saat önce"}],"divider":false},"hasVideo":true,"timelineGroupTitle":"Dün","timelineGroupIsToday":false,"timelineTime":"11:15"},{"id":"530261_0","totalSources":31,"url":"/gundem/incidents/antalya-da-agac-5-otomobilin-uzerine-devrlidi-5302610","target":"_self","poster":{"image":{"url":"//avatars.mds.yandex.net/get-searchnews-images/16069429/2a0000019a3b66017ddd3c79c3e7ec773589//S156x100","size":{"width":156,"height":100},"originalUrl":"https://www.turkgun.com/cropImages/1280x720/uploads/haberler/2025/10/4349-antalyada-30-yillik-agac-park-halindeki-5-aracin-uzerine-devrildi.jpg"}},"logAttrs":{"id":"530261_0","hasSummarization":true,"urls":["https://www.f5haber.com/gundem/antalyada-30-yillik-agac-devrildi-5-otomobil-zarar-gordu-6841660","https://www.turkgun.com/gundem/antalyada-30-yillik-agac-park-halindeki-5-aracin-uzerine-devrildi/334903","https://www.haberler.com/guncel/antalya-da-devrilen-agac-5-otomobile-zarar-verdi-19206782-haberi/","https://www.haberts.com/antalyada-30-yillik-agac-5-otomobilin-uzerine-devrildi"],"summarizationTexts":["Antalya'da 30 yıllık ağaç devrildi: 5 otomobil zarar gördü","Antalya’nın Muratpaşa ilçesinde, kökünden kopan 30 yıllık bir ağaç, park halindeki 5 otomobilin üzerine devrildi.","Olayda yaralanan olmazken, araçlarda hasar oluştu.","Olay, saat 16.30 sıralarında Sinan Mahallesi 1251 Sokak’ta yaşandı."],"isStoryFresh":true,"newsFreshness":[true,true,true]},"title":{"text":"Antalya'da 30 yıllık ağaç devrildi: 5 otomobil zarar gördü","textAs":"h3","size":"s"},"badge":{"url":"https://www.turkgun.com/gundem/antalyada-30-yillik-agac-park-halindeki-5-aracin-uzerine-devrildi/334903","faviconSources":["https://www.turkgun.com","https://www.haberler.com","https://www.haberts.com"],"textParts":[{"text":"15 saat önce"}],"divider":false},"hasVideo":false,"timelineGroupTitle":"Dün","timelineGroupIsToday":false,"timelineTime":"19:05"},{"id":"529322_0","totalSources":48,"url":"/gundem/incidents/belediye-baskani-trafik-kazasi-gecirdi-5293220","target":"_self","poster":{"image":{"url":"//avatars.mds.yandex.net/get-searchnews-images/17968138/2a0000019a385c2f3b7d227ff24b941dbe4f//S156x100","size":{"width":156,"height":100},"originalUrl":"https://bgcdn.gmgadmin.com/1/1200/800/files/2025/10/31/1871302/1871302.jpg/?v=1761882018"}},"logAttrs":{"id":"529322_0","hasSummarization":true,"urls":["https://t24.com.tr/haber/corum-da-trafik-kazasi-serinova-belediye-baskani-salih-cakmak-hastaneye-kaldirildi,1272106","https://www.borsaningundemi.com/haber/mustan-coruma-giden-baskan-kaza-yapti-1871302","https://www.haberler.com/guncel/serinova-belediye-baskani-salih-cakmak-trafik-kazasinda-yaralandi-19203658-haberi/","https://www.iscihaber.net/corum/serinova-belde-belediye-baskani-cakmak-trafik-kazasi-gecirdi/187626"],"summarizationTexts":["Çorum’da trafik kazası: Serinova Belediye Başkanı Salih Çakmak hastaneye kaldırıldı","Muş'un Serinova Belde Belediye Başkanı Salih Çakmak, Çorum'da geçirdiği trafik kazasında yaralandı.","Çakmak (59) yönetimindeki 49 DC 088 plakalı cip, Çorum-Mecitözü kara yolu Mecitözü ilçesi girişinde yoldan çıkarak tarlaya girdi.","İhbar üzerine olay yerine jandarma ve sağlık ekipleri sevk edildi."],"isStoryFresh":true,"newsFreshness":[true,true,true]},"title":{"text":"Çorum’da trafik kazası: Serinova Belediye Başkanı Salih Çakmak hastaneye kaldırıldı","textAs":"h3","size":"s"},"badge":{"url":"https://www.borsaningundemi.com/haber/mustan-coruma-giden-baskan-kaza-yapti-1871302","faviconSources":["https://www.borsaningundemi.com","https://www.haberler.com","https://www.iscihaber.net"],"textParts":[{"text":"Dün"}],"divider":false},"hasVideo":false,"timelineGroupTitle":"Dün","timelineGroupIsToday":false,"timelineTime":"06:35"},{"id":"529378_0","totalSources":42,"url":"/gundem/incidents/izmir-de-12-metrelik-kuyudan-mucize-kurtulus-5293780","target":"_self","poster":{"image":{"url":"//avatars.mds.yandex.net/get-searchnews-images/18894684/2a0000019a38e27895c96bcea2af140d2622//S156x100","size":{"width":156,"height":100},"originalUrl":"https://dijitalgastecom.teimg.com/crop/1280x720/dijitalgaste-com/uploads/2025/10/izmir-itfaiyesinden-nefes-kesen-kurtaris-odemiste-12-metrelik-kuyudan-sag-cikarildi-1.webp"}},"logAttrs":{"id":"529378_0","hasSummarization":true,"hasVideo":true,"urls":["https://haberton.com/12-metrelik-kuyudan-itfaiyenin-mudahalesiyle-kurtarildi/","https://www.dijitalgaste.com/izmir-itfaiyesinden-nefes-kesen-kurtaris-odemiste-12-metrelik-kuyudan-sag-cikarildi","https://www.haberler.com/guncel/dengesini-kaybedip-kuyuya-dusen-yasli-adam-kurtarildi-19203856-haberi/","https://www.aydinhedef.com.tr/yasli-adam-dengesini-kaybedip-kuyuya-dustu-uzun-ugraslar-sonucunda-cikarildi"],"summarizationTexts":["12 metrelik kuyudan itfaiyenin müdahalesiyle kurtarıldı","İzmir’in Ödemiş ilçesi Gölcük Mahallesi’nde öğle saatlerinde meydana gelen olayda, 80 yaşındaki Halil Tüysüz isimli bir kişi dengesini kaybederek yaklaşık 12 metre derinliğindeki kuyuya düştü.","Ekipler, gerekli önlemleri alarak halat ve merdivenle kuyuya indi.","İtfaiye ekipleri, ilk müdahaleyi kuyuda yaparak Tüysüz’ün kırık bölgelerine atel taktı."],"isStoryFresh":true,"newsFreshness":[true,true,true]},"title":{"text":"12 metrelik kuyudan itfaiyenin müdahalesiyle kurtarıldı","textAs":"h3","size":"s"},"badge":{"url":"https://www.dijitalgaste.com/izmir-itfaiyesinden-nefes-kesen-kurtaris-odemiste-12-metrelik-kuyudan-sag-cikarildi","faviconSources":["https://www.dijitalgaste.com","https://www.haberler.com","https://www.aydinhedef.com.tr"],"textParts":[{"text":"Dün"}],"divider":false},"hasVideo":true,"timelineGroupTitle":"Dün","timelineGroupIsToday":false,"timelineTime":"09:26"},{"id":"529342_0","totalSources":57,"url":"/gundem/incidents/siirt-te-aile-icinde-silahli-kavga-iki-olu-uc-yarali-5293420","target":"_self","poster":{"image":{"url":"//avatars.mds.yandex.net/get-searchnews-images/16069429/2a0000019a3957e9a6ff3260edea7be5af8a//S156x100","size":{"width":156,"height":100},"originalUrl":"https://img.medyatava.com/rcman/Cw1280h720q95gc/storage/files/images/2025/10/31/siirt-cinayet-oqzg_cover.jpg"}},"logAttrs":{"id":"529342_0","hasSummarization":true,"hasVideo":true,"urls":["https://www.haberler.com/guncel/siirt-te-aile-ici-silahli-saldiri-iki-olu-uc-yarali-19203828-haberi/","https://www.haberler.com/guncel/siirt-te-aile-ici-silahli-saldiri-iki-olu-uc-yarali-19203828-haberi/","https://www.canligaste.com/siirt-te-bir-kisi-silahla-esini-ve-amcasini-oldurdu-annesi-amcasi-ve-yengesini-yaraladi/735959/","https://www.medyatava.com/gundem/siirtte-aile-ici-tartisma-kanli-bitti-esini-ve-amcasini-katletti-3-kisi-de-yaralandi-440906"],"summarizationTexts":["Siirt'te Aile İçi Silahlı Saldırı: İki Ölü, Üç Yaralı","Siirt'in Kurtalan ilçesinde bir kişi, eşini ve amcasını silahla vurarak öldürdü, annesi, diğer amcası ve yengesini yaraladı.","Sağlık ekiplerince yapılan incelemede saldırganın eşi ve amcasının olay yerinde hayatını kaybettiği belirlendi.","Saldırıda yaralanan annesi, diğer amcası ve yengesi kentteki hastanelere kaldırıldı."],"isStoryFresh":true,"newsFreshness":[true,true,true]},"title":{"text":"Siirt'te Aile İçi Silahlı Saldırı: İki Ölü, Üç Yaralı","textAs":"h3","size":"s"},"badge":{"url":"https://www.haberler.com/guncel/siirt-te-aile-ici-silahli-saldiri-iki-olu-uc-yarali-19203828-haberi/","faviconSources":["https://www.haberler.com","https://www.canligaste.com","https://www.medyatava.com"],"textParts":[{"text":"Dün"}],"divider":false},"hasVideo":true,"timelineGroupTitle":"Dün","timelineGroupIsToday":false,"timelineTime":"08:40"},{"id":"529068_0","totalSources":56,"url":"/gundem/incidents/samsun-da-ambulans-motosiklete-carpti-universite-ogrencisi-hayatini-kaybetti-5290680","target":"_self","poster":{"image":{"url":"//avatars.mds.yandex.net/get-searchnews-images/17968138/2a0000019a35e1d83532d2eb57eb3fa1ce87//S156x100","size":{"width":156,"height":100},"originalUrl":"https://im.haberturk.com/yerel_haber/2025/10/30/ver1761840304/115166017_640x360.jpg"}},"logAttrs":{"id":"529068_0","hasSummarization":true,"hasVideo":true,"urls":["https://www.haberler.com/guncel/samsun-da-ambulans-motosiklete-carpti-universite-ogrencisi-hayatini-kaybetti-19202993-haberi/","https://www.haberturk.com/samsun-haberleri/115166017-ambulansin-carptigi-universite-ogrencisi-oldu","https://www.haberler.com/guncel/samsun-da-ambulans-motosiklete-carpti-universite-ogrencisi-hayatini-kaybetti-19202993-haberi/","https://www.birgun.net/haber/ambulansin-carptigi-universite-ogrencisi-oldu-665003"],"summarizationTexts":["Samsun'da Ambulans Motosiklete Çarptı, Üniversite Öğrencisi Hayatını Kaybetti","Kaza, saat 17.00 sıralarında Atakum ilçesi Ondokuz Mayıs Üniversitesi Rektörlük kavşağında meydana geldi.","İddiaya göre, Ş.K yönetimindeki Sinop Sağlık İl Müdürlüğü'ne ait 57 AAG 590 plakalı ambulans, kavşakta OMÜ Diş Hekimliği Fakültesi öğrencisi Azerbaycan uyruklu Nijat Kazimli'nin kullandığı 48 ADC 584 plakalı motosiklete çarptı.","Çarpmanın etkisiyle sürüklenen Kazimli, ağır yaralandı."],"isStoryFresh":true,"newsFreshness":[true,true,true]},"title":{"text":"Samsun'da Ambulans Motosiklete Çarptı, Üniversite Öğrencisi Hayatını Kaybetti","textAs":"h3","size":"s"},"badge":{"url":"https://www.haberturk.com/samsun-haberleri/115166017-ambulansin-carptigi-universite-ogrencisi-oldu","faviconSources":["https://www.haberturk.com","https://www.haberler.com","https://www.birgun.net"],"textParts":[{"text":"Dün"}],"divider":false},"hasVideo":true,"timelineGroupTitle":"30 Ekim","timelineGroupIsToday":false,"timelineTime":"19:39"},{"id":"529297_0","totalSources":51,"url":"/gundem/incidents/aile-ici-kavga-feci-bitti-5292970","target":"_self","poster":{"image":{"url":"//avatars.mds.yandex.net/get-searchnews-images/17968138/2a0000019a3757a50f1ae91be318d16fa46c//S156x100","size":{"width":156,"height":100},"originalUrl":"https://i.haberglobal.com.tr/storage/files/images/2025/10/31/izmirde-esiyle-tartisma-yasayan-kisi-kendini-atese-verdi-lu0k.jpg"}},"logAttrs":{"id":"529297_0","hasSummarization":true,"urls":["https://www.haberler.com/3-sayfa/izmir-de-es-sorunlari-nedeniyle-otomobilini-atese-veren-kisi-agir-yaralandi-19203627-haberi/","https://www.haberler.com/3-sayfa/izmir-de-es-sorunlari-nedeniyle-otomobilini-atese-veren-kisi-agir-yaralandi-19203627-haberi/","https://haberglobal.com.tr/gundem/izmirde-esiyle-tartisma-yasayan-kisi-kendini-atese-verdi-487612","https://www.ensonhaber.com/ic-haber/izmirde-esiyle-kavga-eden-adam-otomobiliyle-birlikte-kendini-atese-verdi"],"summarizationTexts":["İzmir'de Eş Sorunları Nedeniyle Otomobilini Ateşe Veren Kişi Ağır Yaralandı","İzmir'in Bornova ilçesinde bir kişi, iddiaya göre eşiyle yaşadığı sorunlar sonrası sinir krizi geçirip otomobilini ateşe verdi.","Olay saat 22.10 sıralarında Barbaros Mahallesi 5454 Sokak’ta meydana geldi.","Meydana gelen yangında alevlerin arasında kalan İlhan Ö ağır yaralı olarak hastaneye kaldırıldı."],"isStoryFresh":true,"newsFreshness":[true,true,true]},"title":{"text":"İzmir'de Eş Sorunları Nedeniyle Otomobilini Ateşe Veren Kişi Ağır Yaralandı","textAs":"h3","size":"s"},"badge":{"url":"https://www.haberler.com/3-sayfa/izmir-de-es-sorunlari-nedeniyle-otomobilini-atese-veren-kisi-agir-yaralandi-19203627-haberi/","faviconSources":["https://www.haberler.com","https://haberglobal.com.tr","https://www.ensonhaber.com"],"textParts":[{"text":"Dün"}],"divider":false},"hasVideo":false,"timelineGroupTitle":"Dün","timelineGroupIsToday":false,"timelineTime":"02:11"}],"snippetParams":{"isRetina":false,"posterSizes":{"width":156,"height":100},"titleProps":{"size":"s"}},"title":"Günün içinden haberler","maxPageNumber":2,"ajaxUrl":"/hikaye/result/get_category_stories?story_category=incidents","layout":"column","extendFirstItem":false,"disabledAjax":false,"logNode":{"name":"news-top-stories-right","attrs":{"isRoot":true,"isRightColumnStories":true,"category":"incidents","location":"gundem/incidents/yuzyilin-kasirgasi-yikarak-ilerliyor-5280260","storiesUrls":["/gundem/incidents/arnavutkoy-de-seyir-halindeki-iett-otobusunde-cikan-kavgada-1-kisi-hayatini-kaybetti-5299840","/gundem/incidents/koy-muhtari-traktorle-kazan-arasinda-sikisarak-agir-yaralandi-5299810","/gundem/incidents/polisten-gocmen-kacakciligi-operasyonu-5294660","/gundem/incidents/balikesir-de-yine-deprem-oldu-5292580","/gundem/incidents/kocaeli-de-kadin-cinayeti-once-esini-sonra-kendini-5298040","/gundem/incidents/cami-insaatinda-gocuk-alti-kisi-icinde-kaldi-5298590","/gundem/incidents/13-yasindaki-cocuk-arkadasini-boynundan-bicakladi-5294530","/gundem/incidents/bolu-yangin-davasinda-bakan-ersoy-un-yargilanmasi-isteniyor-5290830","/gundem/incidents/adiyaman-da-feci-kaza-1-polis-1-muhtar-agir-yarali-5295900","/gundem/incidents/antalya-da-agac-5-otomobilin-uzerine-devrlidi-5302610","/gundem/incidents/belediye-baskani-trafik-kazasi-gecirdi-5293220","/gundem/incidents/izmir-de-12-metrelik-kuyudan-mucize-kurtulus-5293780","/gundem/incidents/siirt-te-aile-icinde-silahli-kavga-iki-olu-uc-yarali-5293420","/gundem/incidents/samsun-da-ambulans-motosiklete-carpti-universite-ogrencisi-hayatini-kaybetti-5290680","/gundem/incidents/aile-ici-kavga-feci-bitti-5292970"]}},"nextId":"529319_0","baobab":{"parentNode":{"context":{"genInfo":{"prefix":"4lk5w06-0-1"},"ui":"desktop","service":"news","fast":{"name":"newstr","subtype":"additional_news"}}}}},"type":"newstr","subtype":"additional_news"},"4lk56":{"state":{"generalLinks":[{"id":"privacy-policy","text":"Gizlilik politikası","url":"https://yandex.com.tr/legal/privacy_policy/"},{"id":"terms-of-service","text":"Kullanıcı sözleşmesi","url":"https://yandex.com.tr/legal/tos/"},{"id":"report-error","text":"Hata bildir","url":"https://forms.yandex.com.tr/surveys/13748122.01a6645a1ef15703c9b82a7b6c521932ddc0e3f7/"},{"id":"about-company","text":"Şirket hakkında","url":"https://yandex.com.tr/project/portal/contacts/"}],"copyright":{"url":"https://yandex.com.tr","currentYear":2025},"socialLinks":[{"url":"https://www.tiktok.com/@yandex.turkiye","type":"tiktok","title":"TikTok"},{"url":"https://www.youtube.com/@YandexTurkiye","type":"youtube","title":"Youtube"},{"url":"https://www.facebook.com/YandexComTr","type":"facebook","title":"Facebook"},{"url":"https://www.instagram.com/yandex__turkiye/","type":"instagram","title":"Instagram"},{"url":"https://x.com/yndxturkiye","type":"x","title":"X"}],"categoriesLink":[],"baobab":{"parentNode":{"context":{"genInfo":{"prefix":"4lk5w07-0-1"},"ui":"desktop","service":"news","fast":{"name":"portal","subtype":"footer"}}}}},"type":"portal","subtype":"footer"}}